Archive Record
Images
Metadata
Object Name |
Map |
Catalog Number |
2008.010c.0017 |
Title |
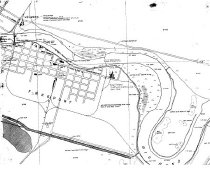
Map - Topographic Survey No. 6326 |
Search Terms |
Big Bend Brazos River Brazos River Lighthouse Brazosport Coast Guard Dow Plant A (site of) East Union Bayou Freeport Freeport Harbor Gulf of Mexico Gulf Intracoastal Waterway Jetties Map Quintana Swing Bridge Texas Coast Survey Topographic Survey No. 6326 U. S. Coast & Geodetic Survey USCG USCS Velasco |
Scope & Content |
Map Topographic Survey No. 6326 Part of Texas Coast Survey Positive photostat ------------ ----- TRANSCRIPT OF TITLE BLOCK ----------------- U. S. Coast & Geodetic Survey R. S. Patton, Director Topographic Survey No. 6326 Freeport Harbor Entrance, Gulf Coast, Texas Date of Survey ..... March 1935 Scale ...................... 1:10000 Chief of Party ....... E.O.Heaton Surveyed by .......... W.T. White Heights in feet of mean high water ------------------------------------------------------------------------------------ North arrow: no Top of Map Latitude/Longitude lines: Yes Compass bearings: no Scale: 1:10,000 Scale unit: ratio |
Subjects |
Big Bend Brazos River Brazos River Lighthouse Brazosport Coast Guard Dow Plant A (site of) East Union Bayou Freeport Freeport Harbor Gulf of Mexico Intracoastal Waterway Jetties Map Quintana Swing Bridge Texas Coast Survey Topographic Survey No. 6326 U. S. Coast & Geodetic Survey USCG USCS Velasco |
People |
Heaton, E.O. Patton, R.S. White, W.T. |
Date |
March 1935 |
Dates of Creation |
March 1935 |
Extent of Description |
Paper 32" wide x 25" high Image: 31" wide x 24" high |
Collection |
U. S. Coast Survey - Coast of Texas |
Accession number |
2008.010c |
Source |
BCHM |
Credit line |
BCHM |
Lexicon category |
8: Communication Artifact |
Catalog date |
2012-09-11 |
Catalog type |
Archive |
Imagefile |
029\2008010c0017.JPG |
Number of images |
4 |
